Fruit mealybug, Rastrococcus iceryoides

Rastrococcus iceryoides is a major pest of banana bunches in some cultivars
Rastrococcus-iceryoides (1) Rastrococcus-iceryoides (9) Rastrococcus-iceryoides (8) Rastrococcus-iceryoides (7)
Rastrococcus-iceryoides (4) Rastrococcus-iceryoides (5) Rastrococcus-iceryoides (3) Rastrococcus-iceryoides (2)  Colony of Rastrococcus iceryoides on banana fruit
Rastrococcus-iceryoides (3) Rastrococcus-iceryoides (2) Rastrococcus-iceryoides (1) Rastrococcus-iceryoides (4)
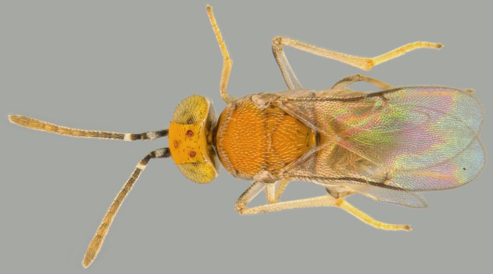
Rastrococcus-iceryoides (5) Rastrococcus-iceryoides (6) Anagyrus  Anagyrus spp. are commonly collected as parasitoids of Rastrococcus iceryoides Gyranusoidea (2)  Gyranusoidea sp. is commonly found in association with Rastrococcus spp.  and keeps the pest in check.
Gyranusoidea (1)  Gyranusoidea sp.